A truly amazing day out to the best place to swim with turtles – with guaranteed sightings, low tourist activity and spotting them from the sea or the beach, Taiwan really is one of the best places to swim with turtles.
If your looking for one of the best places to swim with turtles then you absolutely have to visit Taiwan with kids. Taiwan is a very family-friendly destination that offers so much. It is easy to travel with children and offers so much – check out all our practical information here. You can view our trip and useful information on the other blogs on our website: Part 1 includes Taiwan and Taichung. Part 2 shares our experiences from Sun Moon lake, Alishan, Tainan and Kaohsiung with kids.
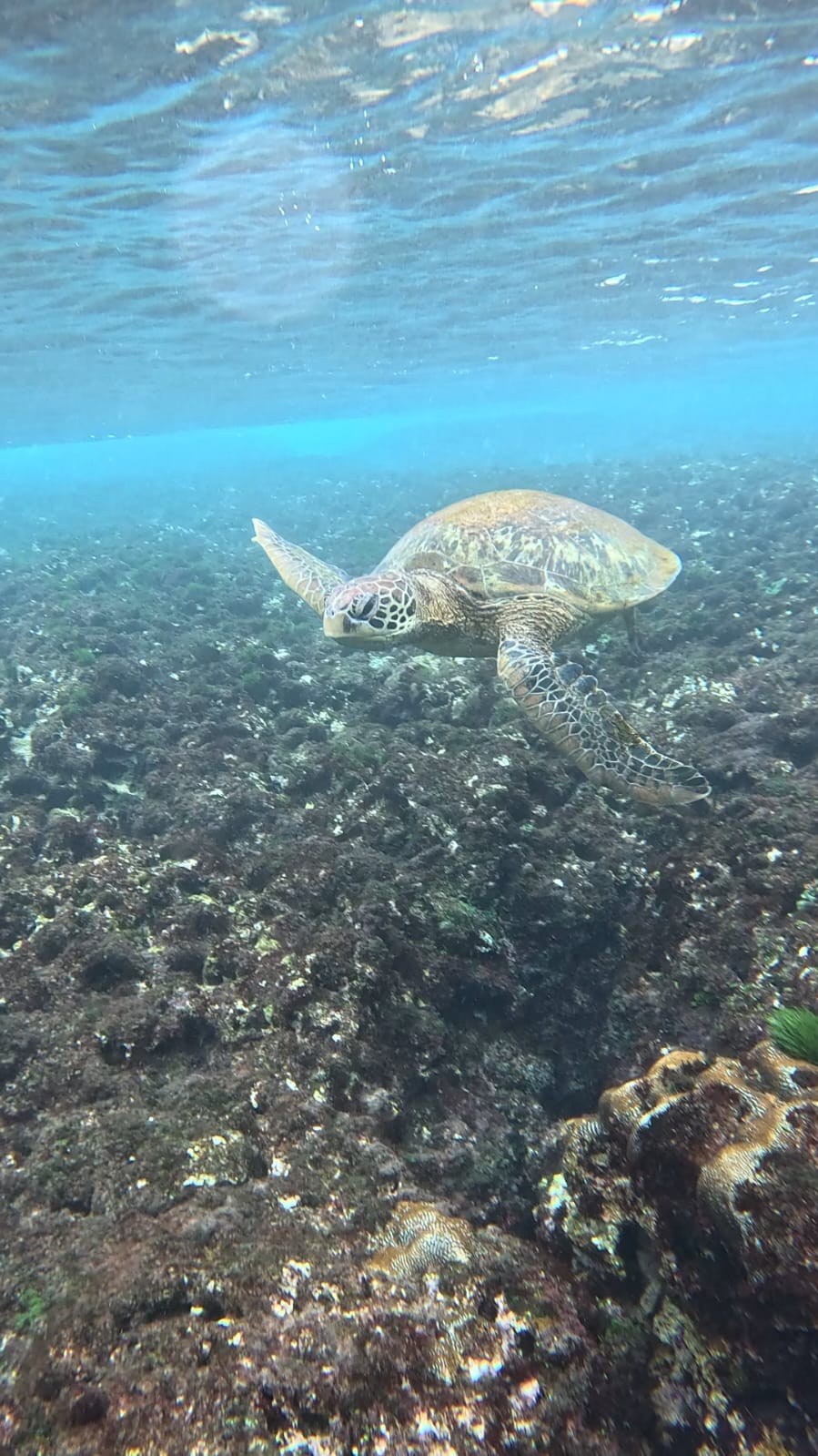
One of our top 3 days and experiences in Taiwan was to visit Turtle island and swim with turtles. The island is also known also as Xiaoliuqiu, Liuqiu or Lambei Island.

Turtle Island is home to hundreds of sea turtles. This is why it’s a great place to swim with turtles and it’s suitable for kids too. The island lies 12km off the coast of Kaohsiung and is very much worth a trip. There is a permanent colony of 800 sea turtles here and you will 100% see them both from in and out the water!
- How to spend a day on Turtle Island
- The snorkelling trip – swimming with turtles: the highlight of our day!
- What else is there to do on Lambei Island?
- Summing up our day!
How to spend a day on Turtle Island
Here’s all the info you need to spend a day on Turtle Island – and be sure to book a snorkel trip to actually swim with turtles.
- The ferry departs from the pier in Donggang around 1 hour drive from Kaohsiung centre. A taxi would have cost £45 each way so we hired a car for the day which cost £40 + fuel. There is plenty of parking near the ferry terminal and it’s £5 for the whole day. Whilst it was a bit more faff, it probably saved us £40 doing by hiring a car.
- Book your tickets in advance via klook as the ferries do get booked up. Take your passport and app confirmation to the ferry port to exchange for your boat tickets. The ferry cost us £35 for 2 adults, 1 senior and 2 children’s tickets. There are 3 different ferry companies so make sure you pick the right terminal and office to exchange your tickets – and check the correct timetable. We were on the Tungliu line.
- The ferry takes 20 minutes and starts running around 9am with the last boat departing at 5pm. They run every 45 minutes(ish). We took the 10.30 ferry and were on the island with our mopeds sorted for 11.15. Don’t miss picking up an amazing salted butter corn on the cob from the lady as you board the ferry!
- The ferry crossing is a bit choppy – so seasick prone folk may want to take travel tablets, but it’s only 20 minutes.
- Mopeds are available straight off the ferry pier and cost £10 per day. They are electric so there is no worry about fuel charges, and helmets are provided. Driving around the island is very easy – the full loop takes around 30 minutes. There is no deposit to pay but you will need your passport. It is also a bit cheaper if you return it before the last ferry rather than renting for 1 day / 24 hours.
- We booked our snorkelling trip to swim with turtles (info below) via klook for mid-afternoon so had just over 2 hours to explore a bit and grab some lunch which was perfect amount of time. We had 20 minutes running along the beach, but then spent the rest of the time driving and stopping at various points to take photos.
- After our snorkelling trip we were back on our bikes with just over an hour before our ferry. We headed to beautiful beach where we spotted more sea turtles from the shoreline. To spot them, look/head near the shore as they play in the waves! This was amazing and we spent all our remaining time here before the 10 minute drive back to the ferry port to drop our bikes. You need to be at the ferry just 15 minutes before departure.
- The tides around the island can have strong rip currents so check that out before going in swimming – we saw several signs on the beach warning to not enter – and our snorkelling trip was on the calmer side of the island.



The snorkelling trip – swimming with turtles: the highlight of our day!
- We booked via Klook, here is the link to the specific tour company we used who we totally recommend. We only booked the night before – there are several times through the day to choose from.
- We paid £40 for the 5 of us, 3 adults and 2 children. Nyle managed this very easily at age 6, but there are some companies who don’t allow children under 5 to go, so check this out before booking.
- Our guide, Kevin!, was great with the kids and very patient and chatted with them a lot. His English was great. He even gave the kids a ‘snorkelling hot water bottle’ to try and keep them warmer.
- We got kitted out in wetsuits, boots, masks and snorkels before jumping on our bikes for the 5 minute drive to the site.
- There are lockers and hot showers at the rental place, both of which were appreciated. Especially the hot showers.
- On arrival at the snorkelling site, we had a 5 minute induction before we were off. He mainly checked the kids masks were on properly and everyone was happy. The sea temp was around 22 degrees – fresh but not freezing.
- Kevin had us all hold on to 2 swimming rings (think life saving rings) he had brought and / or the rope so we were all joined together. He pulled us the whole time (he had flippers) and when I was kicking trying to help, he asked me to stop. He navigated the rocks and waves and we felt safe the entire time. You’re never that far from the beach and where the turtles are is quite shallow in places – just rocky underfoot rather than sandy.
- We saw turtles almost instantly – and probably saw 20-30 in our 30 minutes we were in the sea for. It was an amazing experience and Kevin captured loads of photos (not videos) of us in the sea and with them. If you have a GoPro take it for videos, but he will put all the photos he takes onto their facebook page for you to download from. He took over 100 from our trip!
- If you do have a go-pro (or similar) take that with you as videos are pretty cool to have! It’s not everyday you swim with turtles.
- After the snorkel we jumped back on our bikes, wet, and headed back for our hot showers and to get changed.



What else is there to do on Lambei Island?
There are a few other things to do and see on the island including Vase Rock, some caves to explore, walking trails, several (sometimes huge) temples, more beaches and diving. If we had the chance again we would maybe had stayed for the night to make the day less long and to see the caves as the one near Beauty beach looked good. We left home at 8am and returned back to our apartment at 9pm – this included picking up the rental car and dropping it back off.
Summing up our day!
Was it a long day? – Yes!
Was it an expensive day? – Not really!
Was it worth it? – Totally!
It was a totally brilliant day and one we are so pleased we made the effort to do – swimming with turtles was on our bucket list! I can imagine it gets very busy in summer, but our ferries were about 1/3 full and we had no problem finding bikes or snorkel trips even booking just the day before. If going in higher season, you may need to plan a little more in advance but I don’t think this place is massively on the tourist trail so can’t imagine it gets overrun. They are also very protective towards the turtles with heavy fines for touching or approaching them and when you swim with turtles you do keep your distance!
To bring our day to life, watch our video from our day on Turtle Island.
